Footbridge across Tsui Ping Road
Project Description:
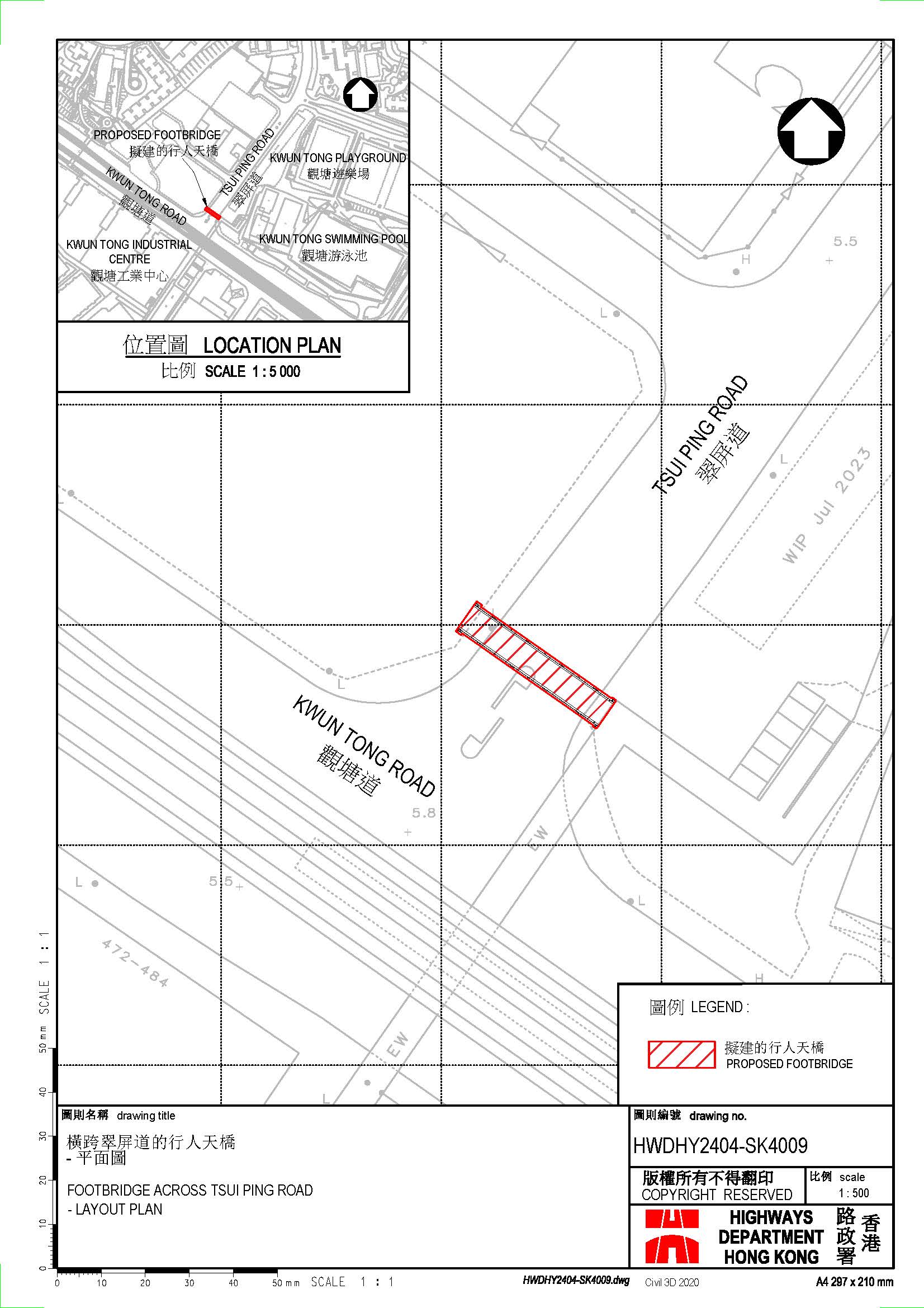
The objective of the proposed works is to construct a footbridge across Tsui Ping Road connecting the existing footbridge No. KF90 and the elevated pedestrian deck under PWP Item No. 3193GK Kwun Tong Composite Development.
Construction Commencement Date:
October 2024
Anticipated Commissioning Date:
2026 Q3
Contract(s):
Contract No. HY/2024/04
| Contract Title | Construction of Bus-Bus Interchange at Aberdeen Tunnel, Walkway Covers at Central & Western District and Kwai Tsing District (Remaining Works) and Footbridge across Tsui Ping Road |
| Commencement Date | October 2024 |
| Anticipated Completion Date |
2026 Q3 |
| Contract Sum ($M) | 60.286 |
| Contractor | Chuen Shing Construction Limited |
| Resident Engineer | N/A |
Consultant:
N/A





