横跨翠屏道的行人天桥
工程简介:
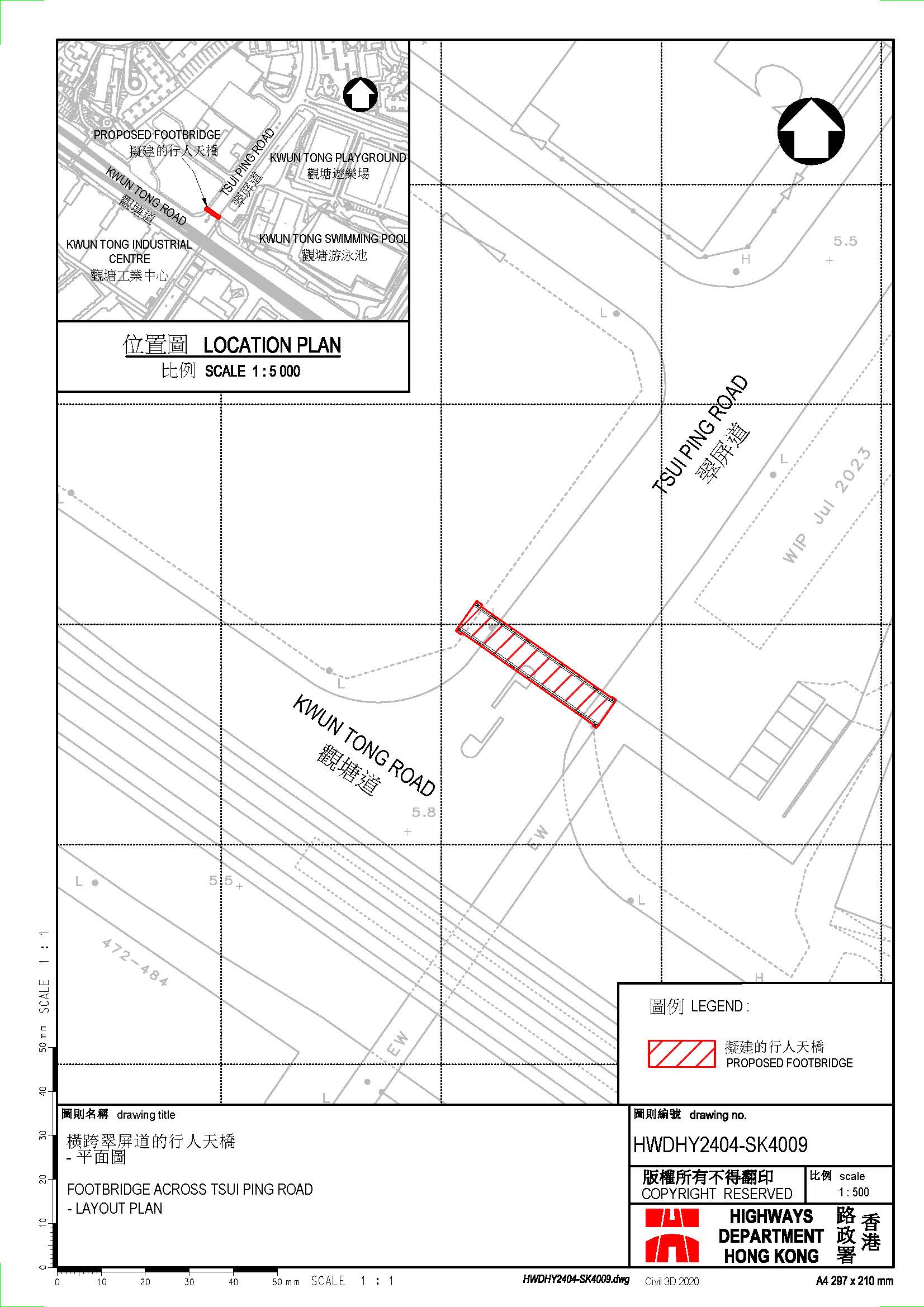
工程旨在兴建一条横跨翠屏道的行人天桥,连接现有行人天桥编号KF90和工务计划项目第3193GK号观塘综合发展项目下拟建的高架行人平台。
工程动工日期:
2024年10月
预计启用日期:
2026年第3季
合约:
合约编号:HY/2024/04
| 合约名称 | 香港仔隧道巴士转乘站、中西区行人通道上盖、葵青区行人通道上盖(余下工程)和横跨翠屏道的行人天桥建造工程 |
| 动工日期 | 2024年10月 |
| 预计完工日期 | 2026年第3季 |
| 合约总价 ($百万) | 60.286 |
| 总承建商 | 浚成建筑有限公司 |
| 驻地盘工程师 | 不适用 |
顾问公司:
不适用





